678 & 688 Citadel Drive Port Coquitlam, BC V3C 6M7
In order to receive notices and updates via email and access other strata documents, please send us your email address and unit number.
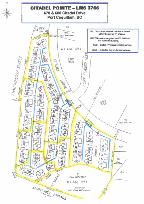
Click here for a larger printable PDF of the above sitemap.